Zelfs in de barre omstandigheden van het Siberische en Altai-gebied verbouwen amateur-wijnbouwers sappige en zoete druiven. één van vorstbestendige gewassen is de variëteit "Ter herinnering aan Dombkowska". In de omstandigheden van een korte noordelijke zomer slaagt hij erin om te groeien en een goede oogst te geven.
inhoud
Kwaliteitsfuncties
"Ter herinnering aan Dombkovskaya" werd gefokt in 1993 door de beroemde fokker Fedor Shatilov. Oorspronkelijk had een technische naam - ChBZ (zwarte pitloze winterhard). Maar toen kreeg het een moderne naam.
De hybride is afkomstig van fokrassen - "Dawn of the North" en "Kishmish uniek." Van hen erfden druiven de weerstand tegen vorst en de speciale smaak van pitloze bessen. Een bijzonder kenmerk van de variëteit is de snelle volwassenheid.
In een korte zomer heeft een grote struik tijd om te groeien, een smakelijke sappige bes rijpt. Zoals "Kishmish uniek", zijn er geen zaden in de vruchten. Druiven worden geclassificeerd als vroege rijpe variëteiten. De clusters rijpen in een korte 90 dagen vanaf de dag van vegetatie. Half augustus - begin september kunt u al oogsten. In bijzonder hete zomers vindt bessenrijping eerder plaats.
Ze hoeven niet direct na het rijpen van de takken te worden gehaald. Veel wijnbouwers laten tot het einde van de herfst trossen aan de struiken achter, zodat de bessen goed door de zon worden gevoed. Een volwassen oogst krijgt een grote zoetheid.
Met de juiste planten groeien en ontwikkelen zaailingen zich snel. Al in het tweede levensjaar begint de plant vruchten af te werpen. In het vijfde jaar is het mogelijk om solide opbrengsten te verkrijgen. Met één struik, met goede zorg, is het mogelijk om gemiddeld tot 150 kg bessen te verzamelen.
Het ras is vorstbestendig. Met slechte beschutting bestand tegen vorst tot min 28 graden. In koudere winters is grondiger onderdak vereist. De struiken groeien goed, ondanks de ongunstige weersomstandigheden. Druiven dragen goed hun vruchten in de noordelijke breedtegraden op het land van gecompliceerde landbouw.
"Ter herinnering aan Dombkovskaya" is geclassificeerd als tafel-en-rozijnen variëteit. Maar wijnbouwers beweren dat druiven een universeel doel hebben. Fruit is aangenaam om vers te eten. Van deze, jam, worden compotes gekookt; geserveerd met vleesgerechten. Gebruik voor het drogen op rozijnen. Van rijpe bessen wordt een goede zelfgemaakte wijn verkregen.
Cultuurbeschrijving
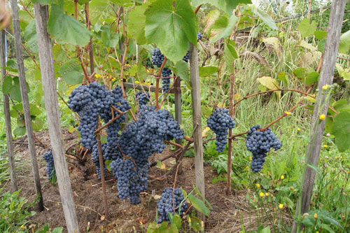
De druivenstruiken zijn ontwikkeld en krachtig van structuur. Tijdens de warme periode heeft de wijnstok de tijd om tot vijf meter te groeien. De schors is lichtbruin, glad. De bladeren zijn groen, gesneden, drie-vingers met uitstekende aderen. Ze hebben lange stekken. Aan de binnenkant, donzig. De puberteit is licht, lijkt op een spinnenweb.
De bloemen zijn biseksueel, zacht. De plant heeft geen extra bestuiving nodig. Vruchten zijn groot, afgerond, blauwzwart. Bovenkant bedekt met een dunne laag witachtige was. De bessen hebben een zoetzure smaak. De hoeveelheid sucrose in hen in een bijzonder zonnige en warme zomer bereikt 20%.
De schil op het fruit is dicht. Bestand tegen alle weersomstandigheden. Bij blootstelling aan vocht is het goed bewaard, barst het niet. De pulp is lila, dicht, knapperig. Er zitten helemaal geen botten in. Maar soms komen zachte vlekken over.
De clusters zijn mooi kegelvormig, medium-zacht. Als er tijdens het snoeien drie clusters overblijven, is het gewicht van één ongeveer 400 - 700 g. Als er een bos op een struik is, is het gewicht in een vruchtbare zomer maximaal één kilogram.
Voor- en nadelen van het ras
Volgens amateur-wijnbouwers heeft het "Dombkovskaya-geheugen" vrijwel geen gebreken. Cultuur heeft:
- uithoudingsvermogen;
- vorstbestendigheid;
- vroege rijping;
- universaliteit van toepassing;
- plodonostnostyu;
- weerstand tegen ziekten.
Het enige nadeel van de variëteit is de slechte tolerantie van nat weer. De plant verliest immuniteit en ontwikkelt gemakkelijk schimmelziekten. Bestand tegen schimmel, grijze rot, oidium.
Kenmerken van variëteiten in de landbouwtechnologie
Voor de succesvolle teelt van druiven moeten de volgende landbouwactiviteiten worden uitgevoerd.
landing
Omdat de druiven van "Pamyat Dombkowska" met een zonovergoten plek voor het planten zijn noodzakelijk vanaf de zuidkant. De beste oplossing is om aan de zuidoost- of zuidwestkant van het huis te landen. Dan krijgt de plant meer warmte.
Druiven houden van zwarte grond of leemachtige grond. Als de grond is uitgeput, wordt er vooraf organische stof in gebracht: rotte mest, compost. Als de grond zuur is, moet u deze neutraliseren door kalk toe te passen.
Let bij het planten op het voorkomen van grondwater. Als ze in de buurt van het bovenste bodemniveau komen, wordt het aanbevolen om een drainagesysteem te maken of op hoger gelegen grond te planten.
Voor het planten moeten zaailingen worden voorbereid. Aanvankelijk worden ze gesorteerd, weggegooid en zwakke exemplaren. Geselecteerde twijgen aan de randen worden gesneden zodat de snede groen is. Dan gedrenkt in water om het wortelstelsel te versterken.
Bij het markeren van de kuilen moet rekening worden gehouden met de afstanden. Tussen landingen moet het minstens anderhalve meter zijn, tussen rijen - drie meter. Ten minste 40 cm tot aan de muur van het huis of de schuur, ongeveer een meter naar het hek.
Putten moeten worden gegraven tot een diepte van één meter. Gebroken baksteen of grind wordt in de bodem gegoten en geramd. Vervolgens wordt een laag zwarte grond gemengd met zand en compost geïntroduceerd. Bereide kuilen moeten 14-30 dagen blijven staan. Pas daarna planten ze zaailingen.
Pinnen worden in het midden van de kuilen geïnstalleerd, er is een draad aan vastgemaakt. Dit zijn steunen voor toekomstige struiken. Zaailingen worden in de buurt van hen geplaatst en zijn bedekt met aarde. Maak bij het planten organisch materiaal; dan worden aanplant overvloedig bewaterd met water. Bedek voorzichtig met droog gras, bolvormige schil.
snoeien
Voor een goede groei en vruchtvorming moet het gewas worden bijgesneden. De eerste snoei wordt eind augustus uitgevoerd. Het is noodzakelijk dat de plant is voorbereid op de winter en voldoende kracht krijgt. Kort de wijnstok in met 20-40 cm, snijd de bovenste scheuten af.
De tweede snoei wordt uitgevoerd in oktober, wanneer de bladeren volledig vallen. De meest haalbare scheuten worden gekozen, en de rest wordt afgesneden. De fruitscheut is ingekort tot twee knoppen. De escape shoot is gesneden tot 7-14 knoppen.
Na het snoeien wordt de wijnstok behandeld met een oplossing van kopersulfaat. In het voorjaar na de winter breken de bevroren takken af. Het is beter om niet volledig te snoeien in het voorjaar, omdat sap begint op te vallen op de plaatsen van incisies; de wijnstok loopt leeg.
Stiefzoon en dunner worden
Terwijl de struik groeit, vormen zich lege zijscheuten. Ze geven geen clusters. Maar bij verdere ontwikkeling worden voedingsstoffen uit de vruchtbare wijnstok gehaald. Daarom is het in het voorjaar noodzakelijk om stappen te zetten. Verwijder scheuten volledig.Stepsoning wordt uitgevoerd in het voorjaar, in de zomer en in de herfst. Inspecteer tegelijkertijd de hele plant. Verwijder zwakke en beschadigde scheuten.
Bovendien is het noodzakelijk om de groene scheuten op de struiken uit te dunnen. De bladeren rond de trossen zijn volledig afgescheurd om het rijpende fruit meer zon te geven. Als het gebladerte de druiven niet dunner maakt, heeft het de neiging om te plassen.
De kwaliteit van de bessen lijdt ook. Rijpend in de schaduw verliezen ze hun zoetheid. De smaak wordt zuur met wat bitterheid.
Water geven en voeren
In het vroege voorjaar en aan de vooravond van vruchtvorming wordt radicale topdressing gedaan met organische en minerale meststoffen. Vóór de bloei en na de bloei wordt bladtoepassing van stikstofhoudende meststoffen gedaan.
Bij het zetten van fruit wordt aanbevolen om bladbemesting met boor en zink te doen. De laatste topdressing wordt uitgevoerd in de herfst, aan de vooravond van het oogsten. Vaker wordt topdressing niet aanbevolen, omdat de plant een intense bladmassa begint te krijgen.
De plant water geven wordt zelden aanbevolen. De eerste gietbeurt wordt uitgevoerd in het vroege voorjaar. Ze hervatten het tijdens de bloeiperiode, in juni. Druiven worden niet meer dan een keer per week bewaterd. Het is raadzaam om schoon water te gebruiken, verwarmd in de zon. Na het begin van de kleuring moet het water worden gestopt.
Spuiten tegen ziekten en plagen
Het "Dombkovskaya-geheugen" heeft een zwakke immuniteit tegen grijze schimmels, meeldauw en oidium. Vooral de plant is verzwakt bij regenachtig vochtig weer. Daarom, voor preventieve doeleinden, tijdens het seizoen spuiten.
Tankmengsels worden gebruikt voor deze procedure: verschillende stoffen worden gecombineerd in één tank. Op deze manier is het niet alleen mogelijk om schimmelsporen te verwijderen, maar ook om schadelijke insecten te vernietigen. Deze mengsels zijn ook een goede bladmeststof voor kweek.
Sproeien wordt uitgevoerd na zonsondergang, zodat de stralen van de zon geen natte bladeren verbranden. Bij het bereiden van mengsels moet aandacht worden besteed aan hun compatibiliteit. Beginners-kwekers moeten deze methode proberen te beheersen.
Eenmalige irrigatie met mengsels helpt niet om ziekten te voorkomen. Spuitmengsels volgens het schema:
- In het vroege voorjaar na het snoeien van struiken.
- Voordat de bloei begint.
- Wanneer de eierstok verschijnt.
- Voordat de wijnstok wordt beschermd.
Voorbereiding op de winter
In de zuidelijke regio's herbergt de variëteit "Pamyat Dombkovskaya" niet. De wijnstok wordt verwijderd, gebogen en op de grond gelegd. In de strenge noordelijke winters moeten druiven zorgvuldig worden beschermd.
Vuren takken worden op de grond gegooid en een gebogen wijnstok wordt bovenop geplaatst. Daarboven worden de vuren takken opnieuw gegooid. De uiteinden blijven open tot de eerste vorst. De top is bedekt met een non-woven materiaal dat de wijnstok beschermt tegen vocht.
Als het buiten koud wordt en de temperatuur min vijf graden bereikt, wordt de schuilplaats bovenop de grond besprenkeld. In sommige gebieden wordt deze rol gespeeld door sneeuwbedekking. Als er veel sneeuw ligt, houdt het de warmte goed. Met zo'n overwinterende wijnstok voelt hij optimaal.
Beoordelingen van amateur-wijnbouwers
Innesa, 38 jaar oud
De variëteit "Ter herinnering aan Dombkovskaya" groeit al 6 jaar op mijn site. De struiken begonnen vruchten af te werpen in het tweede jaar na het planten van zaailingen. Deze winter heeft de plant geen haven. Ik dacht dat het zou bevriezen. Maar de cultuur was vasthoudend. Toegegeven, de opbrengst was deze zomer laag. Druiven zijn er echt dol op. Het enige nadeel is de gevoeligheid voor meeldauw. We moeten meerdere keren per seizoen verwerken.
Vladimir, 47 jaar oud
De druiven op mijn site rijpen in de tweede helft van augustus. Bossen zijn groot - per kilogram gewicht. Ik hou van de smaak van bessen en het feit dat de vruchten pitloos zijn. Meestal gaat de hele oogst naar wijn.
Nikita, 51 jaar oud
De struiken zijn 10 jaar oud. In de zomer groeit het snel. De wijnstok is krachtig.Bijna geen verwerking. In dit geval worden de planten niet ziek. Tevergeefs zeggen ze dat de bessen zuur zijn. Ik heb heel zoete rijping. Een nadeel is klein. Het stel is te dicht.
Arseny, 13 jaar oud
Zeer goed cijfer. Krachtig, vruchtbaar. De bes rijpt zoet en zuur, ondanks de korte koude zomer. Ik doe een lange trim. Ik oogst in september. Hoewel de cultuur voorwaardelijk wordt erkend, maak ik een betrouwbaar onderkomen. We hebben strenge winters, tot min 40 graden. Ik ga geen druiven opgeven. Deze variëteit is de beste van degenen die in onze regio groeien.
De cultuur "Ter nagedachtenis aan Dombkovskaya" is erg populair bij amateur-wijnbouwers in het noorden van Rusland. In een koud, ongunstig klimaat groeien druiven goed en dragen ze vruchten. Het wordt geteeld voor de smaak van zoete en zuur-zoete bessen, waaruit smakelijke bereidingen en aangename wijn worden verkregen.



